Herramientas Personales

Plan de Detalle: Plataforma Productiva Corredor Industrial Ovidio Lagos. “Polígono Industrial Nº 1”

Ordenanza Nº 8.057/06

CAPITULO I

CREACION Y DEFINICIÓN PLATAFORMA PRODUCTIVA CORREDOR OV. LAGOS

POLIGONO INDUSTRIAL Nº 1


1.

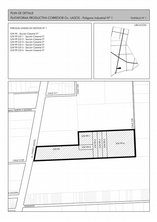
Se crea la “ Plataforma productiva Corredor Industrial Ovidio Lagos – Polígono Industrial Nº 1 “ en el sector conformado por los inmuebles empadronados catastralmente en la Sección Catastral 5º, S/M, Gráficos 95 y 99, Subdivisiones 1,2,3,4,5 y 6.

2. Definición y Ámbito de Aplicación

(Anexo Gráfico Nº 1)
Se define como Plan de Detalle “Plataforma Productiva Corredor Industrial Ovidio Lagos – Polígono Industrial Nº 1“ al proyecto urbanístico que fija los indicadores urbanísticos, los trazados estructurales y secundarios, los espacios públicos y afectaciones para los inmuebles empadronados catastralmente en la Sección Catastral 5º, S/M, Gráficos 95 y 99, S/D 1,2,3,4,5 y 6.

3.- Carácter de promoción industrial

Se determina este emprendimiento como una operación de promoción industrial para la relocalización de pequeñas y medianas empresas dedicadas principalmente a la actividad metalúrgica, del caucho, del Plástico y otras complementarias.

CAPITULO II

NUEVA SECTORIZACIÓN

4. Anulación del Distrito Urbano J 1-9

4.1.

Se anula en el ámbito de aplicación del presente Plan de Detalle, el Distrito J1-9 del Código Urbano vigente hasta la fecha. Regirá en su reemplazo, la normativa fijada en este Plan de Detalle, para los inmuebles empadronados catastralmente en la Sección Catastral 5º, Sin Manzana, Gráficos 95 y 99 Subdivisiones 1,2,3,4,5 y6.

4.2.

Los indicadores urbanísticos definidos en la presente prevalecerán por sobre los indicadores urbanísticos de los Distritos Urbanos limítrofes o de borde.

CAPITULO III

SISTEMA VIAL: MODIFICACION Y CREACION DE TRAZADOS

5.

Se redefine el trazado vial del ámbito de aplicación de la siguiente manera:

5.1.

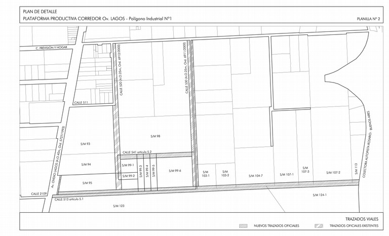
Se ratifica el trazado oficial de la calle 513 (prolongación de calle 2109 ) de 25 metros de ancho oficial, definido por la Ordenanza Nº 4766/89, en el tramo definido entre Av. Ov. Lagos y la Calle colectora de la autopista Rosario - Buenos Aires; se define su eje coincidentemente con el deslinde parcelario Sur de las parcelas empadronadas en la Sección Catastral 5º, S/M, Gráfico 95 y Gráfico 99, S/D 3, 4,5 y 6, gráficos 103 S/D 1 y 2, gráfico 104 S/D 104 S/D 1, gráfico 107 S/D 1,2 y 3 y gráfico 113.

5.2.

Se crea la calle 541de 20 m de ancho oficial en el tramo comprendido entre calle 520 y Calle 530, se define su Línea Municipal Norte coincidente con el deslinde parcelario Sur de la parcela empadronada en la Sección Catastral 5º S/M gráfico 98.

CAPITULO IV

NORMAS URBANÍSTICAS PARTICULARES

6.

La división del suelo, los indicadores urbanísticos, usos admitidos, servidumbre de jardín y demás condicionantes edilicias que corresponde aplicar, son los que se detallan en el Anexo Gráfico Nº 3 que se adjunta al presente texto normativo y forma parte de esta misma Ordenanza.

6.1. División del Suelo:

Se podrá dividir el suelo en parcelas de 0.45 Has. como mínimo, tal como se define en la planilla Nº 3.

6.2. Destino y Usos del emprendimiento:

El emprendimiento se orientará exclusivamente a la radicación a la radicación de empresas industriales que desarrollen actividades en rubros compatibles con los usos que se han previsto para el emprendimiento, es decir industrias del plástico, metalmecánicas y del caucho, de modo de asegurar el desarrollo sustentable de las mismas en un marco adecuado de seguridad y coexistencia. Dicha condición deberá quedar claramente establecida en los documentos que formalicen la incorporación de nuevas empresas al Proyecto.

6.3. Estacionamientos:

Los estacionamientos deberán ubicarse en el interior de las parcelas industriales y sus cubiertas se realizarán preferentemente utilizado idéntico diseño y materialidad en todas las fracciones. También se deberá disponer de un área destinada a la carga y descarga de insumos y mercaderías. No se admitirán estacionamientos en la Servidumbre de Jardín.
a) DIVISIÓN DEL SUELO
Se subdividirá en 12 parcelas cuya superficie mínima se establece en 0,45 ha. De acuerdo a lo graficado.
b) ÍNDICE EDILICIO
Factor de Ocupación Máxima de suelo 0,65
Factor de Ocupación Total: 1,00
c) ALTURA MÁXIMA
Se establece una altura máxima para las naves industriales de 15m. y de 10m. para oficinas, etc.
Se permitirá mayor altura total o parcial en la nave industrial, en caso de necesidad que el uso requiera.
d) SERVIDUMBRE DE JARDÍN
Se exigirá una servidumbre de jardín frente a trazados públicos de 10 m. y de 5m.en relación a los deslindes parcelarios de cada lote. Las servidumbres frente a calles públicas se podrán utilizar además por edificios de control de entradas, cámaras transformadoras de fuerzas motriz y reductora de gas. No se podrán realizar perforaciones bajo superficie o elevados.
Deberán ser tratados como espacios verdes con césped, arbustos, árboles y cercos vivos.
e) USOS PERMITIDOS
Industrias sidero-metalúrgicas, metalmecánicas, plásticas, del caucho, de servicios y otras afines a las citadas. Depósitos restringidos, con carga y descarga, estación de bomberos, campos de deportes, exposiciones comerciales y/o industriales transitorias o permanentes. Se excluye la residencia, permanente o transitoria, salvo aquella que resulte complementaria a la actividad industrial (serenos, cuidadores, etc.)

7.- Condiciones para el espacio público:

7.1.- Veredas:

Rige lo estipulado en el Art. 3.2.2.2. Inciso a.1) y b) de la Ordenanza Nº 7815/2004 y el Decreto Nº 293/2006.

7.2.-Cercos:

Se construirán de una altura no mayor de 2.20 metros, preferentemente utilizando idéntico diseño y materialidad en todas las parcelas, con tejido, reja o cerco vivo, no pudiendo ejecutarse mediante muros ciegos. Se deberá además, forestar todo el perímetro de las parcelas.

CAPITULO V

IMPACTO AMBIENTAL

Cada uno de los establecimientos a radicarse en el predio, deberá cumplimentar lo establecido en las normativa ambiental vigente, y en particular por la Ley Provincial Nº 11717 sobre Medio Ambiente y Desarrollo Sustentable, el Decreto Nº 101/03 y la Resolución Nº 010/04.

8.- Efluentes:

El vertimiento de efluentes que se pudieran generar en los procesos deberá cumplimentar lo establecido en la Resolución 1089/82 y Ley 11220 de la Provincia de Santa Fe y ser autorizado por la Dirección de Control Ambiental dependiente de la Dirección General de Política Ambiental en lo que respecta a su calidad (Ordenanza Nº 7223/01) y por la Dirección de Hidráulica y Saneamiento en lo que respecta a la carga hidráulica implica. Los efluentes cloacales deberán se vertidos a la red cloacal con autorización del concesionario de la misma y en caso de no existir dicho servicio, deberá ser dispuesto adecuadamente.

9.- Residuos:

La gestión de los residuos caracterizados como peligrosos deberá realizarse de acuerdo a lo establecido en el decreto Nº1844/02 y la normativa especifica que se dictare, debiendo, en caso de ser posible, realizar una gestión conjunta de los mismos a efecto de hacerla más eficiente. En caso de generar residuos inertes o asimilables o domiciliarios deberán contratar un servicio de retiro de los mismos.

10.- Calidad de aire- ruido:

Los establecimientos deberán adecuarse a lo establecido por la Ordenanza Nº 5820/92, el Decreto Nº46542/72 y toda normativa que se dicte en la materia.

11.- Explotación del recurso agua subterránea:

En caso de requerir más de uno de los establecimientos utilizar agua de perforación se deberá cumplimentar lo establecido en la normativa vigente en la materia y prever la adecuada explotación del recurso, informando a la Dirección de Control Ambiental sobre el diseño de la misma.

CAPITULO VI

OBLIGACIONES DEL EMPRENDEDOR

12.- Exigencias generales

12.1.- Destino del Emprendimiento:

El emprendimiento se destinará exclusivamente a la radicación de usos productivos o industriales en un todo de acuerdo al proyecto elaborado por la Secretaría de Planeamiento. El mismo estará compuesto por dos sectores:
Sector 1: Conformado por cuatro parcelas independientes con una superficie aproximada de 0,45 has, cada una ubicada sobre Calle 513 entre Av. Ov. Lagos y Calle 520.
Sector 2: Conformado por ocho parcelas independientes de aproximadamente 0,56 Has. cada una, delimitado por las Calles 513,520,530 y 541.
Las doce parcelas estarán obligatoriamente vinculadas con carácter transitorio mediante un contrato civil para la ejecución de las infraestructuras básicas exigidas por la normativa vigente y, alternativamente, podrán constituir un consorcio de administración de los servicios e infraestructura comunes que puedan desarrollar para su mutuo beneficio.
Con la finalidad de consolidar el desarrollo productivo del sector que involucra al presente proyecto, y enmarcado el mismo en una política de promoción industrial, no se exigirá la ejecución del proyecto de Plataforma Productiva la donación del área destinada a espacio verde y equipamiento comunitario que establece la Ordenanza de Urbanizaciones.

12.2. Donación de trazados oficiales

Se deberá donar a la Municipalidad las siguientes superficies afectadas a trazados oficiales:
Calle 530 (Ord.Nº 6584/98 yNº 6911/00): Superficie correspondiente al semiancho de 12,50m. en el tramo comprendido entre Calle 513 y Calle 541, creada por la presente norma.
Calle 520 (Ord.Nº 6912/00): Superficie correspondiente al ancho de 25m, en el tramo comprendido entre la Calle 513 y el deslinde parcelario norte del inmueble empadronado en la Sección Catastral 5º S/M gráfico 95; y el semiancho de 12,50m.en el tramo comprendido entre el deslinde parcelario antes mencionado y la calle 541 creada por la presente norma.
Calle 513: Superficie correspondiente al semiancho norte de 12,50m. en el tramo comprendido entre la Calle 530 y la Av. Ov. Lagos.
Calle 541: Superficie correspondiente al ancho total de 20 m. entre la Calle 520 y Calle 530.
Av.Ov. Lagos (Ord.Nº 5727/93): Superficie correspondiente al ensanche de 5,36 m en el tramo comprendido entre Calle 513 y el deslinde parcelario norte del inmueble empadronado en la sección Catastral 5º S/M gráfico 95.
8.38.12.3.- Ejecución de Trazados Oficiales
El emprendedor deberá cumplimentar con los niveles de exigencia establecidos en la Ordenanza de Urbanizaciones Nº 6.492/97 en lo que concierne a la ejecución de los trazados que se detallan a continuación:
Calle 513: semiancho correspondiente al tramo comprendido entre las Calles 520 y 530.
Calle 541: semiancho correspondiente al tramo comprendido entre las Calles 520 y 530.
Calle 530: semiancho correspondiente al tramo comprendido entre las Calles 541 y 530.

12.4.-Obras de infraestructura

El emprendedor deberá cumplimentar los requisitos de infraestructura según los niveles de exigencia fijados por la Ordenanza de Urbanizaciones Nº 6.492/97, consistentes en la realización de las obras de desagües cloacales y pluviales, pavimentos, agua potable, energía eléctrica, arbolado público, etc. necesarias para abastecer la totalidad de los uso a ubicar dentro del predio. Dichos requisitos serán establecidos oportunamente por la Comisión Técnica de Urbanización (C.T.U.) de acuerdo a la mencionada norma y explicitados en la correspondiente aptitud Urbanística. Dichas obras de infraestructura comprenderán la conexión con las redes existentes en el marco de las condiciones que presente el entorno y de acuerdo a las normas vigentes al momento en que sean realizadas, de cada uno de los organismos competentes. En ningún caso las obras a realizarse o el consumo de los suministros por parte del emprendimiento podrán afectar o disminuir la presentación actual que reciben los vecinos del sector.
Dado el carácter de promoción industrial del emprendimiento y que el mismo podrá realizarse por etapas, las obras de infraestructura podrán ejecutarse acorde a esas etapas.
La Municipalidad, a través de la secretaría de Producción, colaborará en las gestiones ante las autoridades provinciales y empresas prestatarias de los servicios antes mencionados a fin de facilitar su concreción.

12.5.- Condiciones para la ejecución de las infraestructuras urbanas

La Municipalidad a través de las oficinas técnicas de las Secretarías de Planeamiento y de Obras Públicas, definirá los lineamientos de diseño y ejecución de los proyectos correspondientes a la infraestructura urbana a realizar, al que deberá adecuarse el emprendedor.

12.6.

El Emprendedor podrá transferir a terceros, titulares de las parcelas resultantes, las obligaciones asumidas con relación a las obras de infraestructura correspondientes al emprendimiento, condición ésta que deberá ser insertada en las correspondientes escrituras traslativas de dominio. La celebración de un contrato civil entre los propietarios de las distintas fracciones por el cual asumen responsabilidad solidaria respecto de la ejecución de las obras básicas de infraestructura (Artículo 12.4) será requisito imprescindible para que se otorguen permisos de edificación dentro del ámbito de aplicación de esta norma. La Secretaría de Gobierno, a través de sus oficinas competentes, extenderá finales de obra y otorgará habilitación al uso a emprendimientos localizados en el área en cuestión siempre y cuando se hayan completado y certificado las obras básicas de infraestructura necesaria para garantizar su correcta y segura operatividad. Esta circunstancia será claramente consignada en el plano de mensura y subdivisión respectivo y deberá constar expresamente en las escrituras públicas traslativas de dominio que se formalicen sobre las parcelas.

12.7.

La Dirección General de Topografía y Catastro otorgará visación definitiva a los planos de mensura y subdivisión correspondientes al emprendimiento una vez verificados los aspectos formales de la donación de las superficies destinadas a calles públicas por parte de la Dirección General de Asuntos Jurídicos, quedando debidamente consignado en los mismos la condición de Promoción Industrial del emprendimiento y las limitaciones al uso que reconocen las parcelas hasta que no se complementen y certifiquen las infraestructuras pendientes por parte de el/los responsables del emprendimiento, en las condiciones establecidas por el artículo 8.38.12.6.

13.

13.1.

Se establece un plazo máximo de 5 años, a partir de la aprobación de esta Ordenanza, para cumplimentar con las obras de infraestructura y servicios requeridos pudiendo la Municipalidad reconsiderar total o parcialmente este Plan de Detalle en el caso que no se cumpliera con dichas obligaciones dentro del plazo establecido.

13.2.

Si en un plazo máximo de 2 años a partir de la aprobación de esta Ordenanza los responsables del emprendimiento no hubiesen iniciado el plan de obras previsto, la Municipalidad se reserva el derecho de replantear el presente texto normativo.

13.3.

En caso de incumplimiento por parte del emprendedor o por interés especial, la Municipalidad podrá ejecutar parcial o totalmente, las obras de infraestructuras urbanas de acuerdo a su propia programación, las que deberán ser obligatoriamente compensadas o por obras similares o con restitución de su costo, por parte de los responsables de las mencionadas obligaciones.

14.

Las Planillas Nº 1,2 y 3 que se adjuntan forman parte de este texto normativo.
Planilla Nº 1: Ámbito de Aplicación

parque ov lagos 2.jpg
Planilla Nº 2: Trazado Viales

parque ov lagos 3.jpg
Planilla Nº 3: Indicadores Urbanísticos.

parque ov lagos 1.jpg

15.

No son de aplicación en este sector todas las normas reglamentarias y disposiciones de orden municipal que se opongan a la presente Ordenanza.


DECRETO Nº 1936/07
Artículo 1. Se dispone y aprueba la reglamentación de la Ordenanza Nº 8.057/06 “Plan de Detalle Plataforma Productiva Corredor Ovidio Lagos - Polígono Industrial Nº 1” la que será de aplicación de acuerdo a los artículos siguientes del presente Decreto.
Artículo 2. En relación a la definición de “Plataforma Productiva Corredor Ovidio Lagos - Polígono Industrial Nº 1” que establece el Art. 2º de la Ordenanza Nº 8.057/06 que reglamenta el presente Decreto, se establece que dicho emprendimiento se enmarca dentro de los conceptos de Parque Industrial y Área Industrial establecidos por los artículos 3º y 4º de la Ley Provincial Nº 11.525 y su Decreto Reglamentario Nº 1.620/99, quedando identificado dentro del criterio de Parque o de área Industrial en función de las soluciones que el mencionado emprendimiento adopte para la dotación de las infraestructuras y servicios a las plantas fabriles que lo integren.
Artículo 3. Respecto del “Destino del emprendimiento” previsto por el Art. 12.1 de la norma reglamentada por este instrumento jurídico, se deja claramente establecido que la “radicación de usos productivos y/o industriales”, que señala el texto se limita exclusivamente a los usos mencionados en el Art. 6.3.e) “Usos Permitidos” de la citada Ordenanza Nº 8.057/06 y no incluye ni supone actividades productivas de tipo agropecuarias ni de otra índole ajenas a los rubros industriales citados.
Artículo 4. Respecto al número de parcelas que integrarán el emprendimiento, doce (12 ) de acuerdo a lo señalado por Art. 6.3.a) de la Ordenanza que se reglamenta, se deja establecido que dicho número corresponde al máximo de parcelas admitidas en función de las dimensiones mínimas que para cada una de ellas fija el Art. 6.1 y 6.3.a). El emprendedor podrá proponer un número menor de parcelas si las actividades previstas en algunas de ellas ameritan disponer de una mayor superficie propia.
Artículo 5. El emprendedor podrá proponer alternativas circulatorias y de distribución de servicios comunes, con el objeto de optimizar el funcionamiento del emprendimiento. En este sentido se podrá proponer la ejecución de una calle interna , que vincule las distintas parcelas, de modo de establecer una circulación alternativa entres los establecimientos fabriles que integren la plataforma productiva y la vía pública, la cual asimismo podrá resolver parte de la infraestructura de servicios requerida. El emprendedor propondrá la figura jurídica que asumirá esa parcela común, siendo su gestión y ulterior mantenimiento responsabilidad exclusiva del emprendedor y/o quienes resulten responsables de las obligaciones emergentes de la puesta en marcha del emprendimiento, debiendo establecer oportunamente su modalidad de administración.
Artículo 6. En lo relativo a las Obligaciones del Urbanizador que surgen de los Artículos 12.3 y 12.4 de la norma reglamentada, se ratifica en todos sus términos, ad referéndum del Concejo Municipal, el Acta Acuerdo Complementaria de fecha 22 de agosto de 2007suscripto entre la Municipalidad de Rosario y el Emprendedor, representado en ese acto por el Sr. Rubén Daniel Capuano, DNI 13.692.403, en su carácter de propietario fiduciario del fideicomiso denominado Polígono Industrial, titular dominial del inmueble destinado a la plataforma Productivo Corredor Ovidio Lagos, en la cual se convienen las condiciones de ejecución de las infraestructuras de trazados públicos, aunando esfuerzos y acordando responsabilidades y modalidades para su materialización que posibiliten alcanzar el objetivo perseguido con la sanción de la Ordenanza nº 8.057/06 y el Acta Acuerdo de la fecha 9 de agosto de 2006, de dar respuesta a las necesidades de relocalización de pequeñas y medianas empresas locales.
Artículo 7. Hasta tanto se ejecuten las obras de infraestructura y sean libradas al uso público las calles541, San Miguel Garicoits (ex calle 530) y 513, esta última en el tramo comprendido entre calle 520 y calle San Miguel Garicoits (ex calle 530), la Municipalidad otorgará al emprendedor y/o a quienes resulten responsables de las obligaciones contraídas inicialmente por este la custodia de las fracciones donadas para las trazas de dichas arterias, autorizándolo/s a mantenerlas cercadas por el término previsto para la concreción de las mencionadas obras, obligándose este/estos a no efectuar ningún tipo de edificación sobre las mismas para lo cual se formalizará la correspondiente acta o convenio de cesión y desocupación.
Artículo 8. En lo referente a los plazos de la urbanización que establece el Art.13º de la Ordenanza Nº 8.057/06, se determina que los mismos se computarán a partir de la fecha de vigencia del presente Decreto reglamentario.
Artículo 9: La Secretaría de Gobierno, a través de la oficinas competentes y dados los plazos de ejecución establecidos en la presente, podrá otorgar a los emprendimientos habilitaciones provisorias siempre y cuando se encuentren reunidas las condiciones de seguridad, salubridad e higiene para su funcionamiento, y estén supeditadas al cumplimiento efectivo de las obligaciones que se encuentren a cargo del el/los emprendedores.
Artículo 10. Insértese, comuníquese y dése a la Dirección General de Gobierno.


 

Acciones de Documento